+
+
Mespilus germanica

Mespilus germanica

Мушмула германская

Описание

Mespilus germanica (мушмула германская) представляет собой крупный кустарник или небольшое (многоствольное) дерево, которое встречается в ареале, простирающемся от Южной Европы до Западной Азии и Кавказа, где оно растет на опушке леса и в прозрачных лесах. Мушмула также распространилась дальше на север и прижилась в этих районах благодаря деятельности человека начиная с VII века н. э. Таким образом, Mespilus germanica официально относится к археофитам. В оптимальных условиях роста — на влажных и плодородных почвах — мушмула развивается в многоствольное дерево шестиметровой высоты и такой же ширины с неравномерно шаровидной и густой кроной. Из-за относительно медленного роста крона мушмулы имеет непостоянный вид и требует определенных усилий, если предполагается использовать ее в качестве вертикального уличного дерева.

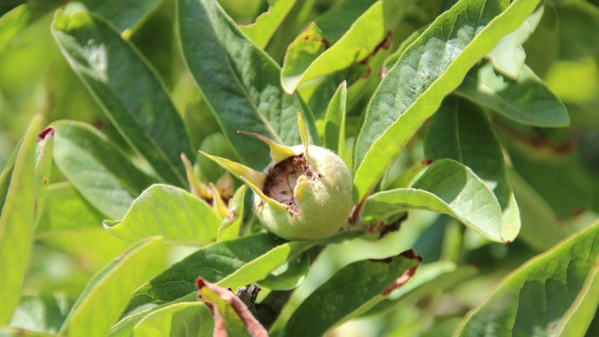
В конце мая — начале июня Mespilus germanica покрывается яркими беловато-розовыми цветами, которые служат источником нектара и пыльцы для пчел и бабочек. Коричневые декоративные плоды мушмулы, появляющиеся осенью, долго остаются на дереве и съедобны только после заморозки. Таким образом их дозаривают, т. е. мушмуле нужно время, чтобы дозреть после уборки урожая. Плоды привлекают птиц и мелких млекопитающих. При распускании листья продолговатые, слегка опушенные ярко-зеленые с серо-зеленой нижней стороной, летом они становятся темно-зелеными и матовыми, а осенью крона мушмулы приобретает эффектный вид от оранжево-желтого до бронзово-красного цвета. Стебли серые, гладкие и с возрастом начинают шелушиться; веточки опушенные и колючие. 

Mespilus germanica вынослива, устойчива к высоким температурам и достаточно хорошо переносит засуху. Дерево легко приживается на многих типах почв, в том числе известковых. Это делает мушмулу подходящей для самых разных условий: от естественных ландшафтных площадок до городских территорий, таких как парки, (небольшие) сады, крыши и контейнеры. Mespilus germanica часто используется в лесных садах.

Виды растений

типы деревьев

Деревья с высоким стволом (стандарт) Деревья с невысоким стволом (полустандарт) Многоствольные деревья Климатические деревья Деревья с необычной формой роста Плодовые деревья Кустарники-солитеры

Высокоствольный топиарий

fval ваза fval Многоствольные зонтичные формы fval Многоствольные крышевидные формы fval шпалера

Топиарий

Шпалера Шпалера

Использование

Место

парк зеленая зона в контейнерах сад на крыше (кровельное озеленение) большой сад маленький сад кладбище сельская местность экологическая зона

Мощение

нет нет

Концепции озеленения

Климатические насаждения food forest Экологическое озеленение Ландшафтные насаждения

Характеристики

Форма кроны

шаровидно-сплющенная шаровидно-сплющенная

Структура кроны

плотная плотная

высота

4 - 6 m

ширина

4 - 6 m

зона зимостойкости

5B - 9B

Характеристики территории

Ветер

ветроустойчивое

Почва

лёссовая почва супесчаная почва легкий суглинок песок суглинок

Содержание питательных веществ

нормальная гумусная

Влажность почвы

сухая умеренно влажная

Расположение

солнце частичное затенение

pH

кислый нейтральный щелочной

растение-хозяин/кормовое растение

пчелы бабочки птицы мелкие млекопитающие люди количество нектара 3 количество пыльцы 3

Разное

Засухоустойчивость переносит жару

Познакомьтесь с питомником Ebben

Посетите наш питомник площадью 450 га с широким выбором многоствольных деревьев и деревьев для лазания, для парков и бульваров, необычных деревьев и солитерных кустарников.

Назначить встречу

Поместить заказ или запросить детальную информацию?

Хотите заказать это растение? Или хотели бы получить детальную информацию о Mespilus germanica? Договоритесь о встрече для детальной консультации по посадкам или посетите наш питомник.
Звоните +31(0) 485 31 20 21 или отправьте письмо электронной почтой одному из наших сотрудников напрямую.
Специалисты питомника

Фотографии

Увеличить

цвета по временам года

Mespilus germanica seizoenskleur
янв фев мар апр май июн июл авг сен окт ноя дек

цветки

цветки

разреженные одиночные

Цвет цветков

белый

Период цветения

Май - Июнь

листья

Цвет листьев

матово-зеленый светло-зеленый при распускании серо-зеленый с нижней стороны

листья

листопадная овальная ланцентная матовые опушенные

Осенняя окраска листьев

желто-коричневый желто-оранжевый бронзово-красный

плоды

Цвет плодов

коричневый

плоды

выделяющиеся съедобные крупные

кора

Цвет коры

серый

кора

борозчатая

ветви

Цвет веточки

серо-коричневый

ветви

немного шипов опушенная с чечевичками крупно разветвленный

Корневая система

Корневая система

глубокая компактная

Для профессионалов и от профессионалов в области зеленых насаждений

TreeEbb — это платформа, созданная для профессионалов и созданная профессионалами в области зеленых насаждений. Здесь мы собираем знания и опыт специалистов данной отрасли и предоставляем их всем пользователям. Все данные и фотографии можно использовать свободно для некоммерческих целей. Вы хотите поделиться вашими знаниями о деревьях? Отправляйте фотографии или дополнительную информацию по адресу treeebb@ebben.nl.

Контакты
Показать фильтры Скрыть фильтры
Показать сравнение
Посмотреть доску вдохновения
TreeEbb

TreeEbb

Географическое положение
зона зимостойкости
OK
прибрежная зона
OK
Использование
Место
OK
Мощение
OK
растение-хозяин/кормовое растение
OK
Концепции озеленения
OK
Виды растений
типы деревьев
OK
Многоствольные деревья
OK
Структура кроны
OK
Форма кроны
OK
Высокоствольный топиарий
OK
Топиарий
OK
высота
m
-
m
OK
ширина
m
-
m
OK
Характеристики территории
Ветер
OK
Почва
OK
Содержание питательных веществ
OK
Влажность почвы
OK
Расположение
OK
PH
OK
Разное
OK
Стадия сукцессии
OK
Характеристики растений
Период цветения
Январь
-
Декабрь
OK
Цвет цветков
OK
Цвет листьев
OK
Осенняя окраска листьев
OK
Цвет плодов
OK
Цвет коры
OK
Характерные особенности
OK
русский
Посмотреть доску вдохновения
Показать сравнение
Ваш выбор:

Подпишитесь на нашу рассылку.

×
Настройки cookie

При предоставлении онлайн- услуг мы используем cookie. Cookie – это простой небольшой файл, который загружается со страниц этого сайта и сохраняется вашим браузером на жестком диске компьютера. Это позволяет нам, среди прочего, комбинировать различные запросы на страницах сайта и анализировать поведение пользователей. В приведенных ниже настройках вы можете указать, использование каких файлов cookie вы согласны принять. Обратите внимание, что некоторые функции этого сайта могут быть недоступны в случае, если вы не согласитесь использовать какие-то из файлов cookie. Более подробную информацию об использовании данных и различных файлах cookie можно найти в нашей Политике конфиденциальности и использования файлов cookie.