+
Elaeagnus commutata

Elaeagnus commutata

Russian olive, Sylver-berry, Wolf-willow

synonym Elaeagnus argentea

Types of planting

Tree types

standard trees multi-stemmed trees characteristic trees solitary shrubs

Topiary on stem

fval beehive fval multi-stem umbrella

Topiary

hedge hedge

Use

Location

avenue park central reservation in containers large garden small garden cemetery traffic areas, industrial zones countryside windbreak coastal area

Planting concepts

shade-tolerant

Characteristics

Crown shape

flattened spherical flattened spherical

Crown structure

semi-open semi-open

Height

3 - 4 m

Width

3 - 4 m

Winter hardiness zone

3A - 8B

Aspects

Wind

tolerant to wind tolerant to coastal wind

Soil

loess sabulous clay sand loamy soil

Nutrient level

low in nutrients moderately rich in nutrients

Soil moisture level

dry moist

Light requirements

sun partial shade

pH range

neutral alkaline

Extreme environments

tolerates air pollution

Get to know Ebben Nurseries

Visit our nurseries with multi-stem trees, climbing trees, trees for avenues and parks characteristic trees and solitary shrubs.

Make an appointment

Place order or further information?

Order this plant? Or would you like further information about Elaeagnus commutata? Make an appointment for a detailed planting recommendation.
Call +31(0) 485 31 20 21 or email one of our advisors directly.
Our planting advisors

Photos

Magnify

Flowers

Flowers

bell-shaped discrete strongly scented

Flower colour

yellow silver

Flowering period

June

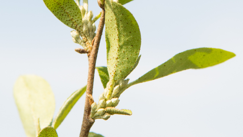
Leaves

Leaf colour

green silver

Leaves

deciduous ovate lanceolate nitrogen fixing

Fruits

Fruit colour

pale grey

Fruits

edible berry

Bark

Bark colour

red-brown

Bark

smooth

Twigs

Twig colour

red-brown

Twigs

bare

For and by green professionals

The TreeEbb is a platform for and by green professionals, in which we collect knowledge and experience from the sector and make this available for users. All the details and photos are free to use for non-commercial purposes. Want to share your tree knowledge? Send photographs and additional information to treeebb@ebben.nl

Contact
Show filters Hide filters
Show comparison
View mood board
TreeEbb

TreeEbb

Geographic location
Winter hardiness zone
OK
Coastal area
OK
Use
Location
OK
Pavement
OK
Host plant/forage plant
OK
Planting concepts
OK
Types of planting
Tree types
OK
Multi-stemmed trees
OK
Crown structure
OK
Crown shape
OK
Topiary on stem
OK
Topiary
OK
Height
m
-
m
OK
Width
m
-
m
OK
Aspects
Wind
OK
Soil
OK
Nutrient level
OK
Soil moisture level
OK
Light requirements
OK
PH range
OK
Extreme environments
OK
Stage of succession
OK
Plant characteristics
Flowering period
January
-
December
OK
Flower colour
OK
Leaf colour
OK
Autumn colour
OK
Fruit colour
OK
Bark colour
OK
Special features
OK
English
View mood board
Show comparison
Your selection:

Sign up for our newsletter

×
Cookie settings

We use cookies when offering electronic services. A cookie is a small, simple file that is sent with the pages of this website and stored on the hard disk of your computer by your browser. This allows us to combine various requests for pages on the website and analyse users’ behaviour, for example. You can indicate which cookies you wish to accept using the settings below. Bear in mind that not accepting cookies will mean that part of the functionality of this website may not be available. You can find more information about the use of data and the various cookies in our privacy and cookie declaration.